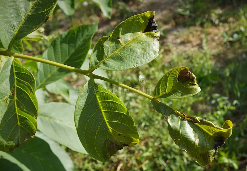
hojas de nogal afectadas por plagas juglans regia l 280754178

Lo que no ocurrió en invierno… ahora podría convertirse en problema.

La falta de heladas en Chihuahua durante la temporada invernal está generando preocupación entre productores, ante el riesgo de un aumento de plagas que podrían afectar el cultivo de nuez en los próximos meses.


⚠️ El problema: menos frío, más plagas

Especialistas del sector nogalero advierten que la ausencia de bajas temperaturas elimina uno de los controles naturales más importantes contra insectos.

👉 cuando hay inviernos fríos, las plagas disminuyen
👉 cuando no hay heladas, sobreviven y se multiplican

Este año, las condiciones favorecen lo segundo.


🐛 Las plagas que podrían aparecer

Entre las principales amenazas que se anticipan están:

  • salivazo
  • pulgón
  • barrenadores

Estas especies suelen atacar los brotes y frutos del nogal, reduciendo la producción si no se controlan a tiempo.


🌱 Un ciclo que apenas comienza

Actualmente, los nogales se encuentran en etapa de brotación, lo que significa que el riesgo aún está en desarrollo.

Hasta ahora no se reporta una presencia masiva de plagas, pero se espera que:

👉 durante abril comiencen a aparecer
👉 en las próximas semanas aumente la vigilancia en huertos


🧠 Por qué las heladas son clave

El frío no solo afecta el clima… también protege los cultivos.

Las heladas actúan como un control natural al reducir la población de insectos, evitando que se reproduzcan en exceso.

Sin ese factor, el equilibrio cambia completamente.


🌾 Lo que está en juego

La producción de nuez es una actividad clave en varias regiones de Chihuahua, por lo que cualquier alteración en el comportamiento de plagas puede impactar directamente:

👉 cosechas
👉 calidad del producto
👉 ingresos de productores


❓ La pregunta que queda

El invierno ya pasó… pero sus efectos apenas comienzan.

👉 ¿los productores podrán contener las plagas a tiempo… o será un año complicado para el nogal en Chihuahua?

📲 Recibe noticias de Chihuahua al momento
Únete al canal de Panorama Hoy y entérate antes que los demás de lo que está pasando en la ciudad.

Seguir el canal

Por Redacción Panorama Hoy

La Redacción de Panorama Hoy está integrada por periodistas, analistas y colaboradores enfocados en ofrecer información verificada, contextualizada y de interés público. Nuestro trabajo se rige por principios de ética periodística, imparcialidad y compromiso social, con especial atención a los temas que impactan a Chihuahua y México.

Deja una respuesta

Tu dirección de correo electrónico no será publicada. Los campos obligatorios están marcados con *

📲 Recibe noticias